Fagaceae - Beech Family
"A Year With the Trees" - Tree Number 41
Chestnut Oak
Quercus montana
Spring

The leaves of the chestnut oak are wavy edged. The Oak is late putting out it's spring leaves. The April leaves are still quite small.
Fall
This amazing tree complete with the wheel bugs lives right outside my window. I follow the changes of the seasons with this beautiful tree. Now that it is September, its leaves are changing. The leaves have little holes in them; and the green is darker, not the same green it was when the leaves first appeared. Acorns and insects are all over the Chestnut Oak outside my window on this bright September day.
The wheel bugs are a type of assassin beetle. The wheel bug is considered a beneficial insect because it eats harmful insects, such as sawflys, aphids and Japanese beetles. It is not a good idea to handle these bugs for they bite and the bite is said to be painful. The good news is that these bugs do not come after you. They are very slow (said to be one of slowest bugs ever) and will not bother you unless you bother them.
During late summer the Wheel bugs mate and the female will lay her eggs in the twigs of the tree. The female will lay 40-200 eggs only once. She will die soon after laying her eggs and possibly eating her mate as well. Yikes! They are known to be efficient assassins; they come complete with armor, weapon, and poison for killing their prey. Thus, the name, assassin.
Winter
For the love of the trees,
Becky
"A Year With the Trees" - Tree Number 41
Chestnut Oak
Quercus montana
Spring
![]() |
Quercus montana- Chestnut Oak
Brightly colored young Chestnut Oak leaves are coming out of their buds in the spring. |
The leaves of the chestnut oak are wavy edged. The Oak is late putting out it's spring leaves. The April leaves are still quite small.
Summer
![]() |
| The Chestnut Oak in July; the acorns are growing. |
![]() |
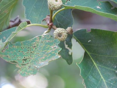
| Young developing Chestnut oak acorns and late summer leaves |
Fall
| The Chestnut Oak and the Wheel Bugs in September |
The wheel bugs are a type of assassin beetle. The wheel bug is considered a beneficial insect because it eats harmful insects, such as sawflys, aphids and Japanese beetles. It is not a good idea to handle these bugs for they bite and the bite is said to be painful. The good news is that these bugs do not come after you. They are very slow (said to be one of slowest bugs ever) and will not bother you unless you bother them.
During late summer the Wheel bugs mate and the female will lay her eggs in the twigs of the tree. The female will lay 40-200 eggs only once. She will die soon after laying her eggs and possibly eating her mate as well. Yikes! They are known to be efficient assassins; they come complete with armor, weapon, and poison for killing their prey. Thus, the name, assassin.
Winter
For the love of the trees,
Becky
![]() |
| A page from my journal |





No comments:
Post a Comment